बायर फार्मराईज अॅप इंस्टॉल करा
तज्ज्ञ शेती सल्ल्यासाठी!


Pointed gourd, locally known as parwal or patal, is primarily cultivated in eastern and northern India, with West Bengal producing nearly 50-53% of the total, followed by Bihar and Uttar Pradesh. Other significant growing states include Assam, Odisha, Chhattisgarh, Madhya Pradesh, Maharashtra, and Gujarat.

Pointed gourd (parwal) is a low calorie, nutrient-rich vegetable packed with vitamins A, C, antioxidants, and fibre, which help improve digestion, boost immunity, and support weight management. It also promotes heart health by helping lower cholesterol and regulate blood pressure, while its seeds aid in relieving constipation. Pointed gourd is commonly used to prepare dry sabzi, curry dishes, kalonji-style recipes, and even sweets.



The ideal planting window for Pointed gourd (parwal) is mid-July to October in the plains, with September–October best for Diara areas. Commercial planting with vine cuttings or root suckers is usually done in October–November for better establishment. In many regions, Pointed gourd is also planted from February to April, with an additional monsoon planting during June–July depending on rainfall.
Pointed gourd grows best in warm, humid conditions (25–35°C), needs long summers, and prefers well‑drained fertile sandy‑loam soils with pH 6.0–7.5, while avoiding frost, waterlogging, and heavy clay; adding compost or FYM improves soil and plant growth.
Prepare the field by giving 2–3 deep ploughings followed by harrowing to make the soil fine and crumbly. Remove weeds, level the field, and ensure good drainage. Prepare furrows or raised beds depending on irrigation availability.

The pointed gourd varieties developed by ICAR–IIVR include Kashi Purwal141, Kashi Alankar, Kashi Suphal, and Kashi Amulya and is recommended for Uttar Pradesh. Kashi Purwal 141- The variety has attractive light‑green, slightly tapering fruits (8–9 cm long, 2.5–3 cm thick), starts harvesting in 85–90 days after transplanting, yields 225–250 q/ha, and is recommended for Uttar Pradesh. Kashi Alankar- Fruits are green, spindle‑shaped with stripes at the distal end; each plant bears 120–130 fruits, measuring about 6.7 cm and weighing 25–27 g, with a yield of 180–200 q/ha; recommended for Uttar Pradesh. Kashi Suphal- Fruits are attractive light green with mild stripes, fleshy with soft seeds, have long fruit‑retention, give 180–200 q/ha yield, show better keeping quality, and are recommended for Uttar Pradesh. Kashi Amulya- This variety has fewer seeds (5–8 per fruit as compared to 25–30 in normal types), is fleshier, bears attractive light‑green fruits with sparse white stripes, yields 200–220 q/ha, has better keeping quality, and is recommended for Uttar Pradesh. (Source: IIVR, VARANASI)



Sowing Three planting methods are used for planting Lunda or Lachhi, Straight vine and Ring method. Lunda / Lachhi Method: Long vine cuttings (1–1.5 m with 8–10 nodes) are folded into a figure of eight shape called Lunda/Lachhi. This coil is placed level inside the pit, with the central portion buried 3–5 cm deep. A little fresh cow dung may be applied over the centre to boost sprouting in dry conditions. Straight Vine Method: Prepare 30 cm deep furrows spaced 2 m apart, fill them with soil and FYM, and plant the vine cuttings 15 cm deep, keeping about 2 m distance between plants. Ring Method: The vine cutting is curled into a ring shape and planted on the mound/hill, keeping half to two thirds of the ring buried in the soil for strong rooting. Pit Method: The pit method in parwal involves planting vine cuttings or root suckers in 30–45 cm deep nutrient filled pits to ensure strong root growth and higher yields.



Pointed gourd is not commercially grown from seeds because seed-raised plants show poor and mixed quality; instead, it is propagated through vegetative means, using about 1,500–2,000 root suckers per acre or 2,000–2,500 vine cuttings per acre.
For optimal Pointed gourd cultivation, maintain a spacing of 1.5–2.0 m between rows and 1.0–1.5 m between plants, along with a 9:1 female to male ratio to ensure proper pollination. Flatbed planting (2m x 1m) uses the same spacing, while trellis or bower (1.5 x 1m) systems often adopt wider spacing to allow vigorous vine growth.
Pointed gourd (Parwal) is a dioecious perennial vine, so maintaining a 9:1 female-to-male ratio is essential for good pollination and high yields. Commercial cultivation relies on vegetative propagation, not seeds. Key Propagation Methods: Vine Cuttings (most common): Use 8–10 node cuttings (60–90 cm) from healthy vines, plant 15 cm deep, usually in a coiled/ring shape, keeping 1–2 nodes above the soil. Maintain a 90% female: 10% male planting ratio. Root suckers: Separate rooted suckers from 2–3-year-old healthy female plants; this method gives faster establishment and higher success. Best time for propagation is September to November (early winter).

Pointed gourd relies on insects for pollination. A ratio of 9 females to 1 male ensures sufficient pollen transfer. A 9:1 female-to-male ratio is considered ideal for maximizing fruit set in pointed gourd, and research shows that maintaining up to 10% male plants can significantly improve pollination efficiency and overall yield.

Mix well decomposed Farmyard manure/compost (10–15 tons/acre) into the soil to enrich fertility. At the time of planting, half of the recommended dose of Nitrogen and full dose of recommended Phosphatic and Potash fertilizers are given. Apply 43-53 kg urea, 48–58 kg of Diammonium phosphate and 32-39 kg Muriate of Potash at the time of planting. This fertilizer dose supplies 20-24 kg of Nitrogen, 8.7–10.5 kg of Phosphorous and 16.6-20 kg of Potassium per acre. Remaining half of the Nitrogen i.e. 20-24 kg per acre is given during post-flowering or after pruning stage. To supply 20-24 kg of Nitrogen, apply 43-53 kg of Urea per acre.


Drip irrigation is the best system for pointed gourd as it provides uniform moisture, saves water, and increases yield, while furrow and basin methods are simple alternatives but require careful drainage to avoid waterlogging. Pointed gourd needs steady soil moisture, with irrigation every 8–10 days in summer or every 2 days under drip. Drip at 80% Pan Evaporation (PE) with mulching is most efficient, saving 20% water, boosting yield, and reducing fruit rot compared to surface irrigation.

Pointed gourd needs strict early weed control, with the first weeding at 20–25 days and follow up every 25–30 days. Manual weeding, light hoeing, and mulching (straw or plastic) effectively suppress weeds, conserve moisture, reduce labour, and prevent fruit rot. Polyethylene mulch with drip fertigation increases water use efficiency and cuts fertilizer use by about 20%.

Training in pointed gourd means guiding vines over supports to improve sunlight, airflow, flowering, and fruit quality. Since parwal is a creeper, proper training on flat beds, trellises, or bower systems is essential, with trellis and bower giving the best yield. 1. Trellis Training (Common Method) Place wooden or bamboo stakes 1.5–2 m apart, connect them with horizontal ropes or wires, let vines climb naturally, tie gently if needed, and remove lower tangled vines for better airflow. 2. Bower / Pergola Training (Best for Commercial Farming) Install strong bamboo, iron, or wooden pillars 1.5–1.8 m high, connect them with sturdy wires to form a bower, spread net/mesh on top, train vines upward with loose ties, and let them spread naturally over the canopy.




Pruning in parwal involves removing old, diseased, or overcrowded vines, trimming lower shoots that touch the ground, and regulating excess male vines to maintain a proper 9:1 ratio, which improves airflow, sunlight exposure, flowering, and overall yield. Before the winter (October-November) vine should be pruned 15 cm from the ground.

Pointed gourd is harvested 60–75 days after planting when fruits are young and tender and then picked every 3–4 days for 6–8 months to maintain quality and continuous production. The harvested fruits can be stored for 4–5 days under cool, shaded conditions.



Disease symptoms: Yellow or pale green spots appear on the upper leaf surface, with a grey or purple fuzzy growth on the underside, leading to leaf curling, wilting, and rapid defoliation under humid conditions. Management: For better control of downy mildew in vegetables Spray Infinito @ 600 ml/acre using 200 litres of water. Before applying the chemicals, please check the product label for proper usage in different crops.


Disease symptoms: Fruit rot in pointed gourd causes soft, water-soaked brown lesions on fruits that rot quickly, often along with vine decay, especially during the rainy season. Management: For control of Fruit rot apply Aliette 3 gm / lit. of water as a soil drench in Nursery and main field. Before applying the chemicals, please check the product label for proper usage in different crops.


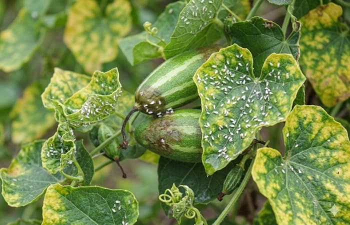
Pest symptoms: Whitefly infestation causes yellowing and curling of leaves, sap sucking leads to leaf wilting, and the insects produce sticky honeydew that promotes black sooty mold on the foliage. Whitefly attack mostly during May-June. Management: For control of sucking pests like whiteflies in vegetables, spray Solomon @ 200 ml/acre in 200 L water. Before applying, please check the product label for proper usage in different crops.


Pest symptoms: Adult beetles chew large round holes in leaves, and grubs feed on roots and underground stems, causing wilting, rotting, and poor plant growth. Management: For control of red pumpkin beetle apply Jump @ 30 gm/acre and followed by Alanto @ 225ml/acre in 200 litres of water. Before applying, please check the product label for proper usage in different crops.


Pest symptoms: Infected pointed gourd plants show stunted and yellowing growth, wilting during hot periods, and roots develop characteristic swollen galls or knots that disrupt water and nutrient uptake. Management: Root k not nematode in pointed gourd is managed by rotating with non host crops, improving soil health and sanitation, using solarization or organic amendments, and applying recommended nematicides.


Thank you for reading this article, we hope you clicked on the 🖒 icon to like the article and also do share it with your friends and family now!